Mondo Vivai - Blog

Alberi di limone: le malattie più comuni e come curarle

Mondo Vivai

Blog

Alberi di limone: le malattie più comuni e come curarle

Gli alberi di limone sono una preziosa aggiunta a qualsiasi giardino, dal momento che offrono non solo deliziosi frutti ma anche una vera e propria bellezza ornamentale. Tuttavia, come qualsiasi altra pianta, questi sono suscettibili a una serie di malattie che possono compromettere la loro salute e la loro produzione di frutta.

In questo articolo esamineremo le malattie più comuni che colpiscono gli alberi di limone e forniremo consigli su come identificarle prontamente e gestirle in modo efficace.

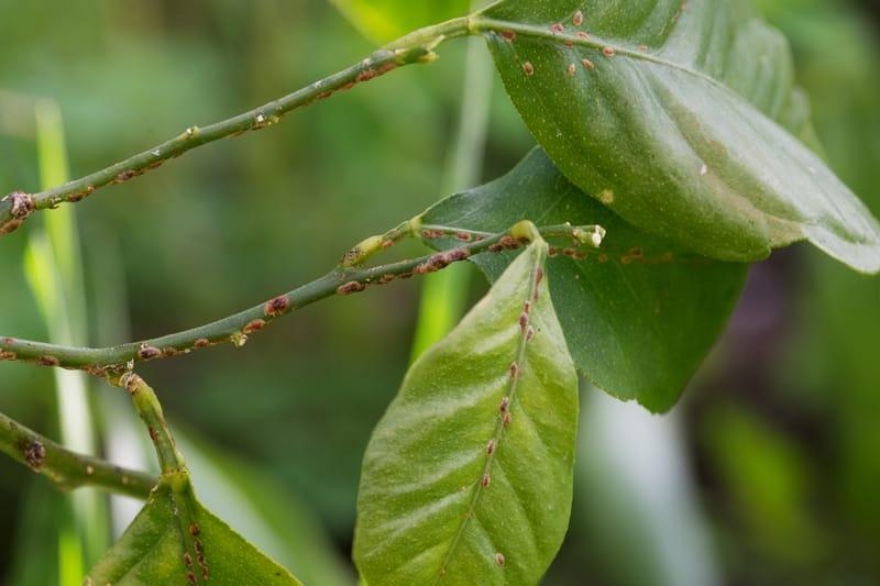
Alberi di limone

Malattie fungine più comuni

Marciume delle radici. Il marciume delle radici è una delle malattie più gravi degli alberi di limone e può portare alla morte della pianta se non trattato tempestivamente. I sintomi includono ingiallimento improvviso delle foglie, appassimento e morte improvvisa di rami. Per prevenire il marciume delle radici, è importante garantire un drenaggio adeguato intorno alle radici ed evitare l’eccesso di irrigazione.

Cancro batterico. Il cancro batterico è caratterizzato da lesioni scure e umide sul tronco e sui rami dell’albero. Queste lesioni possono causare un indebolimento generale della pianta e la morte dei rami colpiti. Per prevenire il cancro batterico, è consigliabile potare regolarmente gli alberi per rimuovere il legno morto e malato ed evitare ferite ai rami durante le attività di giardinaggio.

Muffa bianca. La muffa bianca è una malattia fungina che si manifesta come una patina biancastra sulle foglie e sui frutti degli alberi di limone. Sebbene non sia di solito fatale per la pianta, può compromettere la qualità e la quantità della frutta prodotta. La muffa bianca può essere gestita mediante l’applicazione di fungicidi e la promozione di una buona circolazione dell’aria intorno agli alberi.

Oidio. Si manifesta con macchie bianche e polverose sulle foglie. Per curarla, utilizzare un fungicida specifico.

Mal secco. Provoca il disseccamento dei rami e delle foglie. Non esiste una cura definitiva, ma è possibile prevenire la malattia con potature regolari e trattamenti con rameici.

Gommosi. Causa la fuoriuscita di una sostanza vischiosa dal tronco e dai rami. Per curarla, è necessario eliminare le parti colpite e disinfettare la ferita.

Malattie batteriche più comuni

Malattia del malconcio. Provoca macchie gialle sulle foglie e il deperimento della pianta. Non esiste una cura definitiva, ma è possibile prevenire la malattia con trattamenti con antibiotici.

Malattie virali più comuni

Afidi. Piccoli insetti verdi che succhiano la linfa dalle foglie. Per eliminarli, utilizzare un insetticida specifico.

Cocciniglie. Insetti che si fissano sui rami e sulle foglie. Per eliminarli, utilizzare un insetticida specifico o un rimedio naturale come l’olio di Neem.

Ragnetto rosso. Un acaro microscopico che provoca macchie gialle sulle foglie. Per eliminarlo, utilizzare un acaricida specifico.

Tristezza degli agrumi. La tristezza degli agrumi è una malattia virale che può causare ingiallimento delle foglie, riduzione della crescita e morte prematura degli alberi di limone. Non esiste una cura per questa malattia, quindi è importante utilizzare piante innestate su portainnesti resistenti alla tristezza degli agrumi per prevenirne la diffusione.

In conclusione, la salute degli alberi di limone può essere compromessa da una serie di malattie, ma con una corretta identificazione e gestione, è possibile proteggere e mantenere prosperi questi preziosi alberi da frutto.

Assicurarsi di monitorare regolarmente gli alberi per eventuali segni di malattia e adottare misure preventive come una corretta potatura, un’irrigazione adeguata e l’uso di piante innestate resistenti alle malattie può contribuire a garantire una produzione di limoni abbondante e di alta qualità.

Per saperne di più sulle malattie e le loro manifestazioni, clicca qui: https://www.mondovivai.it/insetti-e-malattie-del-verde/

Per saperne di più sui prodotti da utilizzare per prevenire e curare, clicca qui: https://www.mondovivai.it/cura-e-manutenzione/

– BLOG –

Altri Articoli

Consigli sulle Piante

Guida alla cura della Yucca

La Yucca è una pianta ornamentale molto popolare, apprezzata per la sua estetica esotica, le foglie lunghe e appuntite e la sua robustezza. È ideale sia per interni che per esterni, poiché è una pianta resistente e adattabile a vari ambienti. Tuttavia, per mantenerla al meglio, è importante seguire alcune regole fondamentali.

Scopri di più